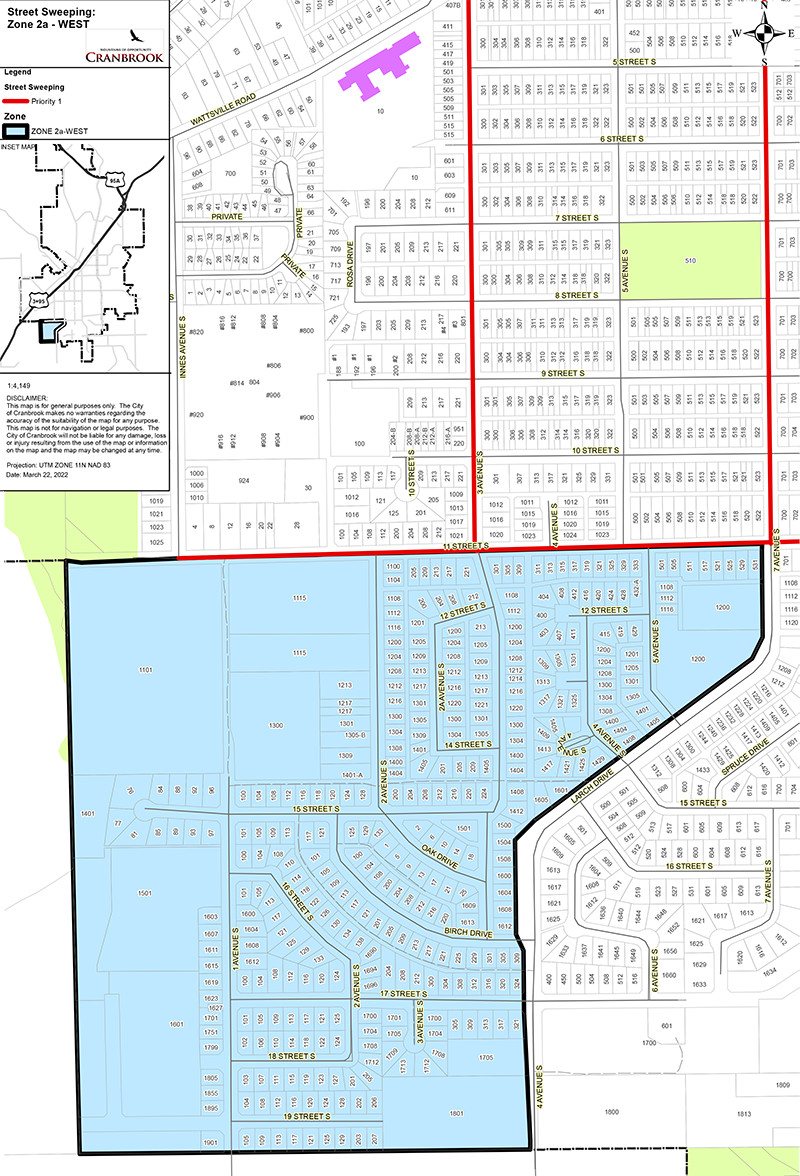
Starting on Tuesday, April 7, 2026, crews with our Public Works road team will be moving their spring street sweeping operations to Zone 2A West for the next few weeks to remove gravel and other debris that accumulated over the winter months.
Zone 2A West covers from 11th Street South to 19th Street South between 1st Avenue South and 7th Avenue/Larch Drive/4th Avenue South with work happening usually from Monday to Friday between 7:30am and 10:30pm. We ask that you please make every effort to park off street wherever possible, so our team can do the best cleanup they can.
You can click here or on the map below to open a larger image.


